
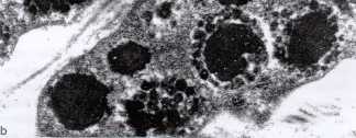
(magn. 44730x)
Cross section showing developing eumelanosomes in the choroid of a black eyed young Budgerigar.
The eumelanosomes are surrounded by coated vesicles carrying reaction products [17].
In this stage tyrosinase activity is very high.
Photograph copied from the thesis of Dr. H. Wilken (1998).
By courtesy of Dr. A. Boos (School of Veterinary Medicine Hannover, Germany)
more photographs
©Inte Onsman
MUTAVI Research & Advice Group